ページ
最新情報
組織概要
26期生途中入所募集要
2023年6月25日日曜日
久高島追い込み漁☆
17日は学校の3大行事追い込み漁がありましたよ👍
前日準備もみんなで協力しよう~!!!
天気が心配でしたが無事開催☆
漁労長の話をしっかり聞きましょう👂
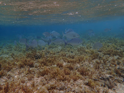
追い込み漁開始👍
きたきた~!!!
きたきた~!!!
きてますきてます👍
大漁です😁
船にいっぱい最高です👍
魚捌きタイム🐟
魚捌きの手つきの違う男(笑)
みんなで捌く姿素敵✨
最後の追い込み漁大漁で良かったね💕
子供達の楽しそうな笑顔も見れて最高でした👍
3年我慢した慰労会も開催出来ました(・∀・)イイネ!!
校長も踊る2023💃
久高島ダンサーズも最高の余興を見せてくれましたよ✨
みなさんお疲れさまでした✋
次は久高島大運動会全力で楽しみましょう~!!!
0 件のコメント:
コメントを投稿
次の投稿
前の投稿
ホーム
登録:
コメントの投稿 (Atom)
0 件のコメント:
コメントを投稿